2025 deja un destructivo rastro de olas de calor, lluvias extremas y fuegos cebados por el cambio climático
2025 deja un destructivo rastro de olas de calor, lluvias extremas y fuegos cebados por el cambio climático

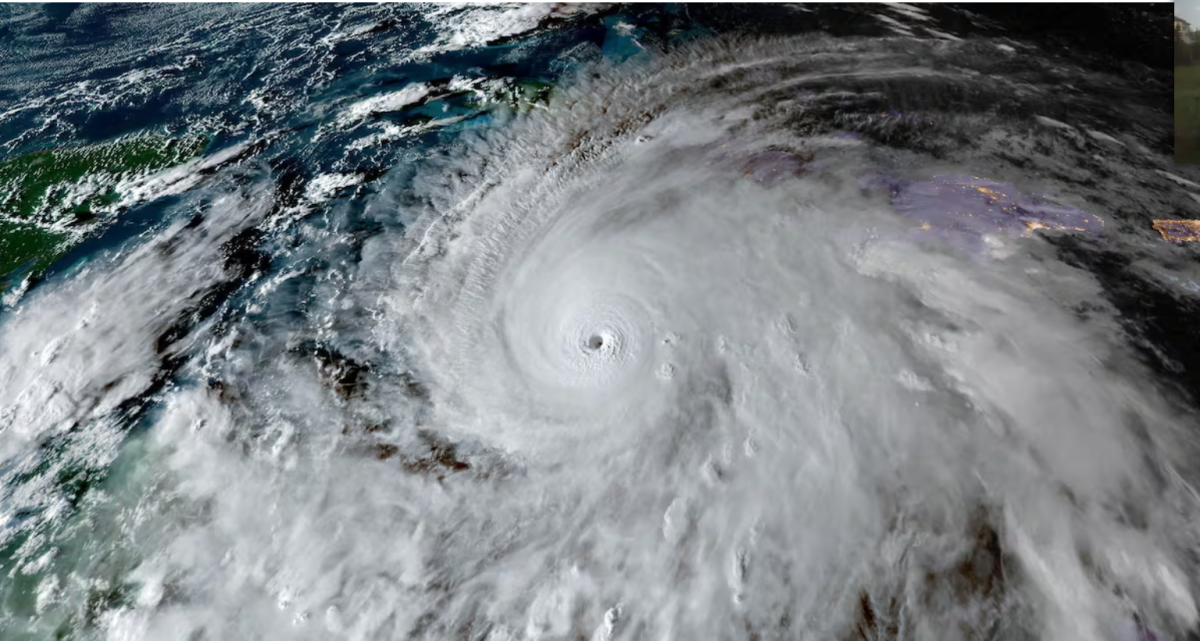
Imagen de satélite del huracán Melissa sobre el Mar Caribe el 27 de octubre pasado. CSU/CIRA & NOAA (via REUTERS)
- El grupo de expertos de WWA ha identificado este año 17 desastres agravados por el calentamiento. Los investigadores advierten de que estos eventos se vuelven más peligrosos por la desinformación
El 2025, que está a punto de terminar, se va a cerrar como uno de los más cálidos desde que existen registros. Según los últimos datos de Copernicus, el sistema europeo de monitoreo del planeta, se perfila como el segundo más caluroso en la Tierra tras 2024 y empatado con 2023. Y unas temperaturas medias más elevadas disparan el riesgo de que los eventos extremos sean más intensos y en ocasiones también más frecuentes. Eso es precisamente lo que ha ocurrido en 2025, como explica Theodore Keeping, investigador del Imperial College de Londres. “Este calentamiento global ha hecho que las olas de calor generalizadas sean más calientes y prolongadas, además de haber empeorado las condiciones de sequía y aumentado la probabilidad de incendios extremos”, señala Keeping. Lo mismo ha ocurrido con algunos episodios de lluvias extremas e inundaciones.
Este investigador forma parte del World Weather Attribution (WWA), un grupo de científicos que realiza estudios rápidos sobre fenómenos extremos con elevados impactos entre la población para determinar qué papel ha jugado el cambio climático en esos episodios. Este 2025 han investigado 22 de esos eventos en África, América, Asia, Europa y Oceanía. En 17 casos han determinado que fueron “más graves o más probables debido al cambio climático”. En los cinco restantes, explica WWA en su informe de resumen del año, los resultados no fueron concluyentes debido fundamentalmente a la falta de datos meteorológicos y a las limitaciones en los modelos climáticos. Entre los eventos que analizaron y en los que sí localizaron la huella del calentamiento global como agravante están los incendios de agosto en el noroeste de la península Ibérica, que coincidieron con una ola de calor también récord.
Ese calor hace que aumenten las condiciones propicias para que se desaten los devastadores incendios, como la oleada de destructivos fuegos que se vivió hace un año en el área metropolitana de Los Ángeles. Pero, más allá del calentamiento global, la dimensión de estas catástrofes se ve también determinada en muchos casos por otros factores humanos, como la falta de preparación y el urbanismo. Por eso, los investigadores del WWA insisten en la necesidad de “invertir en medidas de adaptación”. “Muchas muertes y otros impactos podrían evitarse con una acción oportuna”, explican.
Pero, como sostiene también Keeping, “la preparación y la adaptación tienen límites”. Un ejemplo es el destructivo huracán Melissa, que cinco días antes de llegar en octubre a Jamaica tenía en estado de alerta a toda esta isla caribeña. “Cuando una tormenta tan intensa golpea a una pequeña nación insular, como Jamaica u otras islas del Caribe, ni siquiera los altos niveles de preparación pueden evitar pérdidas y daños extremos”, añade este investigador. Por eso, la adaptación no es suficiente por sí sola: “las reducciones rápidas de emisiones siguen siendo esenciales para evitar los peores impactos del cambio climático”. “Necesitamos urgentemente dejar atrás los combustibles fósiles”, advierte Keeping.
La desinformación mata
“Los hallazgos de este año han sido devastadores, pero también nada sorprendentes”, explica por su lado Friederike Otto, profesora de Ciencias del Clima también en el Imperial College de Londres y cofundadora de WWA. Y cada año que pasa, las evidencias aumentan, además de los impactos por un calentamiento que no cesa de incrementarse debido a la quema de los combustibles fósiles. Otto destaca también de este 2025 el histórico pronunciamiento del Tribunal Internacional de Justicia de Naciones Unidas (TIJ), que en julio estableció que los países están obligados a tomar medidas para limitar el calentamiento global.
Pero este 2025 es también el año de la confirmación del ascenso de los movimientos ultraconservadores y populistas, con Donald Trump a la cabeza, que han puesto a la lucha contra el cambio climático y la defensa del medio ambiente en general en el punto de mira. “Hemos visto cómo el cambio climático se ha convertido en una guerra cultural”, señala Otto. “Pero, sea cual sea tu opinión política, el cambio climático te está perjudicando a ti, a tu vida, a tus oportunidades de subsistencia y a la prosperidad económica”.
En ese ascenso de esos movimientos negacionistas la información incorrecta tiene un papel crucial. “La gente se cree esa desinformación, y eso no solo tiene efectos perjudiciales para nuestra acción climática global, sino para la vida de estas personas”, advierte Otto, que pone como ejemplo algunos desastres registrados este año en Estados Unidos. “Parte de la población no creía en el cambio climático y, por tanto, no tomó en serio realmente que las peticiones de evacuación que llegaban de los sistemas de alerta temprana fueran reales”, recuerda esta investigadora. “En algunos casos, pagaron con sus vidas creer en la desinformación”.
Olas de calor
De entre todos los fenómenos meteorológicos extremos, WWA explica que las olas de calor fueron las más mortíferas de 2025. Recuerdan que, aunque la mayoría de las muertes relacionadas con el calor siguen sin reflejarse bien en las estadísticas oficiales, un estudio estimaba que este año 24.400 personas fallecieron por una sola ola de calor veraniega en Europa. Entre los episodios investigados por WWA este año están las olas de calor en Sudán del Sur, Burkina Faso, Noruega, Suecia, México, Argentina e Inglaterra, que se vieron intensificadas por el cambio climático provocado por el ser humano.
“Los ciclones tropicales y las tormentas también estuvieron entre los eventos más mortíferos del año. Uno de los peores ejemplos ocurrió recientemente, cuando varias tormentas simultáneas azotaron Asia y el sudeste asiático, matando a más de 1.700 personas y causando miles de millones en daños”, explican los autores.
Más allá de ese cambio climático que ceba todos estos eventos, los investigadores ponen el foco en las capacidades de cada región para enfrentarse a estos desastres. Recuerda que este año se ha vuelto a poner de manifiesto cómo esos impactos recaen de forma “injusta” sobre los “más pobres y vulnerables del mundo”, que son los que menos responsabilidades tienen sobre esta crisis. A menudo, las mujeres y niños son los que se llevan la peor parte. “Las mujeres soportan una carga desigual, por ejemplo, debido a su infrarrepresentación en el liderazgo y a responsabilidades de cuidado no remuneradas, lo que a menudo aumenta su exposición a temperaturas peligrosamente altas”, se pone como ejemplo en el informe. Y se añade: “el calor extremo altera aún más la educación, provocando el cierre de escuelas que refuerzan las desigualdades de género”.
En ese reparto de las consecuencias, el Sur Global también se lleva lo peor. No solo por los impactos directos cuando llegan esas catástrofes, sino también a la hora de elaborar los análisis científicos. “Muchos de nuestros estudios en 2025 se centraron en eventos de lluvias intensas en el Sur Global, y una y otra vez descubrimos que nos impedían sacar conclusiones seguras las lagunas en los datos observacionales y la dependencia de modelos climáticos desarrollados principalmente para el Norte Global”, explican los autores. Tener un conocimiento sólido es también clave para poder afrontar esta crisis y estar preparado. “Esta base desigual en la ciencia climática refleja las injusticias más amplias de la crisis climática”, concluyen los expertos en su informe.

Comments (0)